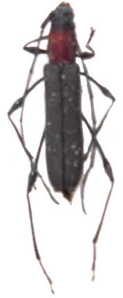
Rhopalophora longipes Cerambycinae  Rhopalophorini
Rhopalophora longipes (Say, 1823)
female, USA

Distribution:
e USA