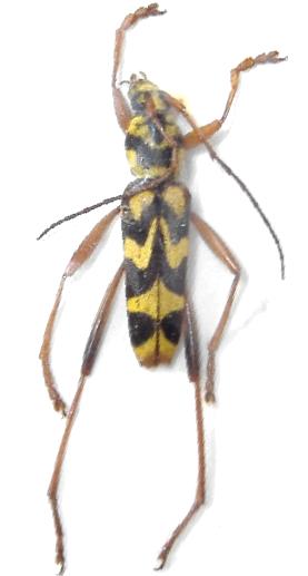
Demonax protogenes Cerambycinae  Clytini
Demonax protogenes (Newman, 1842)
male, Philippines

Distribution:
Philippines