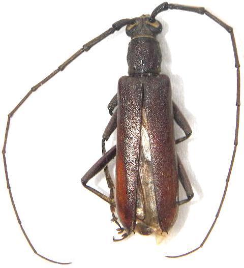
Aneflomorpha australis Cerambycinae  Phoracanthini
Aneflomorpha australis Linsley, 1942
male, California (USA)

Distribution:
sw USA (Baja California)