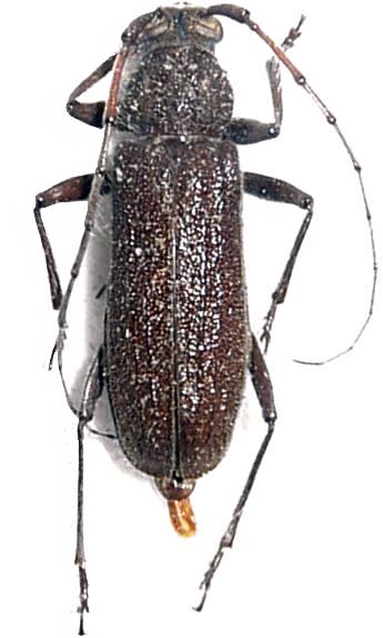
Stromatium barbatum Cerambycinae  Hesperophanini
Stromatium barbatum (Fabricius, 1775)
female, Myanmar

Distribution:
Thailand, Myanmar, Bangladesh, Nepal, India, Pakistan, Ceylon, Andaman, Nicobar. Introduced in Seychelles, Mauritius, Réunion, Madagascar, Tanzania, Somalia