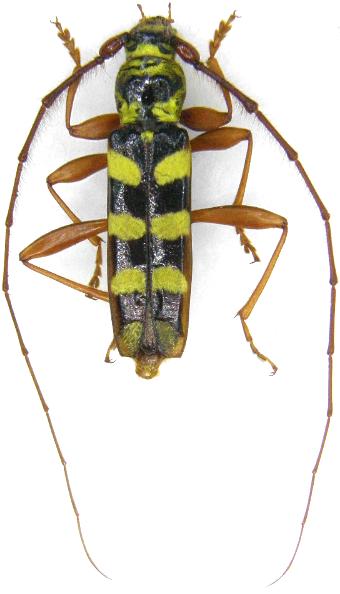
Dryobius sexnotatus Cerambycinae  Dryobiini
Dryobius sexnotatus Linsley, 1957
male, USA

Distribution:
Canada, e USA