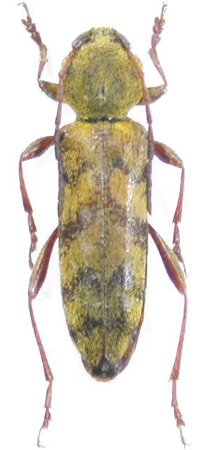
Hesperoclytus katarinae Cerambycinae  Clytini
Hesperoclytus katarinae Holzschuh, 1986


Distribution:
Nepal