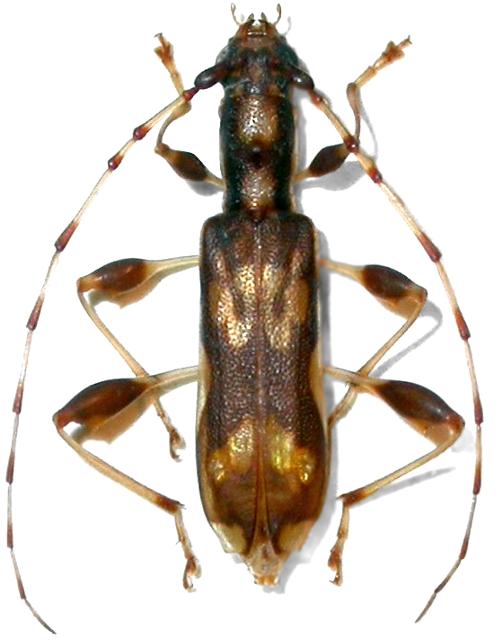
Plectromerus pseudoexis Cerambycinae  Curiini
Plectromerus pseudoexis Vitali & Haxaire, 2007
female, HOLOTYPE

Distribution:
Antilles (Jamaica)