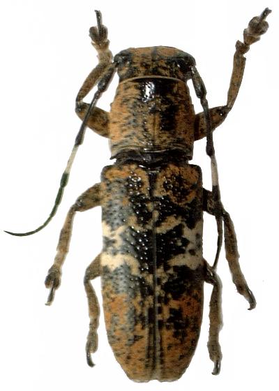
Callimetopus irroratus Lamiinae  Pteropliini
Callimetopus irroratus (Newman, 1842)
var. bifasciatus Fisher

Distribution:
Philippines (Luzon, Mindanao)