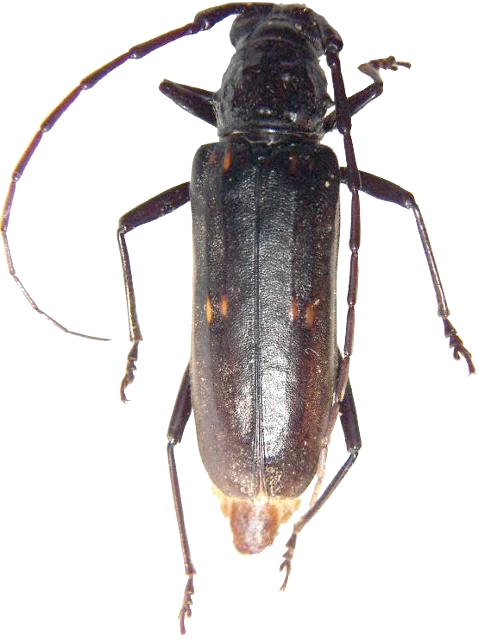
Susuacanga falli Cerambycinae  Eburiini
Susuacanga falli (Linsley, 1940)
female

Distribution:
sw USA (California, Arizona), n Mexico (Sonora)