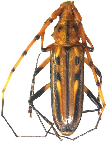
Ceragenia bicornis Cerambycinae  Trachyderini
Ceragenia bicornis (Fabricius, 1801)
male

Distribution:
Panama, Ecuador, Venezuela, French Guiana, Guyana, Suriname, Brazil, Bolivia