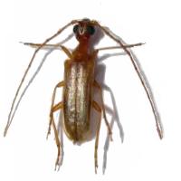
Vesperus conicicollis hispalensis Vesperidae  Vesperini
Vesperus conicicollis hispalensis Fuente, 1901
male, Sevilla (Spain)

Distribution:
Spain