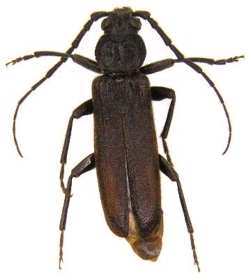
Arhopalus rusticus montanus Spondylidinae  Asemini
Arhopalus rusticus montanus (LeConte, 1873)
male

Distribution:
USA (Utah, Colorado, Arizona, New Mexico, Texas), n Mexico