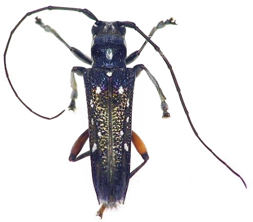
Glenea (Glenea) pulchra Lamiinae  Saperdini
Glenea (Glenea) pulchra Aurivillius, 1926
male

Distribution:
China (Kwangsi, Taiwan), n India (Sikkim, Assam), Myanmar, Thailand, Laos, Vietnam, Malaysia