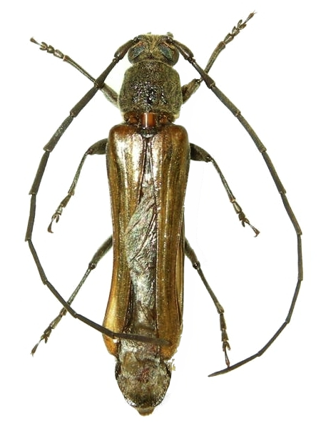
Neostenus saundersii Cerambycinae  Neostenini
Neostenus saundersii Pascoe, 1857
male

Distribution:
Australia