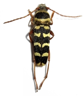
Plagionotus (Echinocerus) floralis Cerambycinae  Clytini
Plagionotus (Echinocerus) floralis (Pallas, 1773)
male, Turkey

Distribution:
s Spain, s France, Switzerland, Italy, Austria, s Poland, Czech Rep., Slovakia, Hungary, Slovenia, Croatia, Serbia, Albania, Romania, Bulgaria, Greece, Ukraine, s Russia, Turkey, Syria, Palestine, n Iraq, n Iran, Kazakhstan