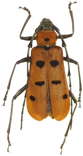
Eurybatus (Eurybatus) hariolus Cerambycinae  Compsocerini
Eurybatus (Eurybatus) hariolus Thomson, 1860
female

Distribution:
India, Nepal, Bhutan