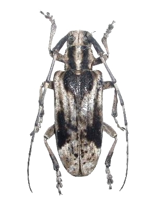
Blepephaeus succinctor succinctor Lamiinae  Lamiini
Blepephaeus succinctor succinctor Chevrolat, 1852
female

Distribution:
India, Myanmar, Thailand, Malaysia, Vietnam, China, Taiwan