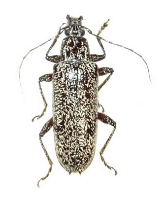
Lacordairina tmesisternoides Cerambycinae  Strongylurini
Lacordairina tmesisternoides (Lacordaire, 1869)


Distribution:
New Caledonia