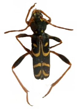
Clytus tropicus Cerambycinae  Clytini
Clytus tropicus (Panzer, 1795)
male, Slovakia

Distribution:
Spain, France, Switzerland, Germany, Poland, Czech Rep., Slovakia, Austria, Hungary, Serbia, Croatia, Bosnia Herzegovina, Macedonia, Greece, Bulgaria, Romania, Ukraine, Belarus, Russia, Turkey