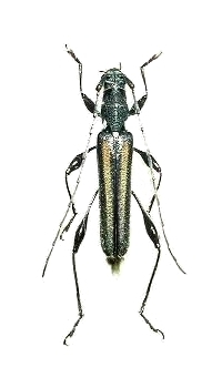
Nida flavovittata Cerambycinae  Sestyrini
Nida flavovittata Pascoe, 1867
male

Distribution:
India, Myanmar, Thailand, Laos, China (Guangxi, Yunnan, Taiwan)