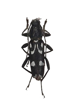
Chlorophorus nivipictus Cerambycinae  Clytini
Chlorophorus nivipictus (Kraatz, 1879)
male, Turkey

Distribution:
Greece (Samos I.) se Turkey, Syria, Iran