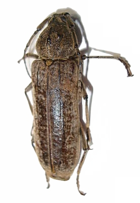
Ranqueles mus Cerambycinae  Bothriospilini
Ranqueles mus Gounelle, 1906


Distribution:
Argentina