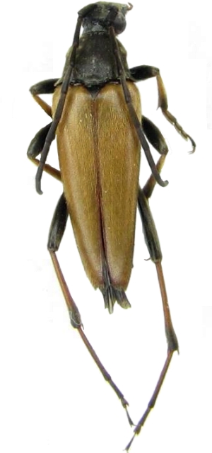
Pedostrangalia (Neosphenalia) pubescens Lepturinae  Lepturini
Pedostrangalia (Neosphenalia) pubescens (Fabricius, 1787)
var. auriflua Redtenbacher, male, Estonia

Distribution:
Spain, France, Switzerland, Italy, Germany, Austria, Sweden, Norway, Finland, Poland, Czech Rep., Slovakia, Hungary, Slovenia, Croatia, Serbia, Albania, Romania, Bulgaria, Greece, Ukraine, Russia