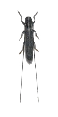
Calamobius filum Lamiinae  Agapanthiini
Calamobius filum (Rossi, 1790)
female, Czech Republic

Distribution:
Libya Tunisia Algeria Morocco Portugal Spain France Luxembourg Belgium Switzerland Italy Malta Germany Austria Czech Rep. Slovakia Hungary Slovenia Croatia Serbia Albania Romania Bulgaria, Greece Ukraine Russia Turkey Syria Palestine Iran