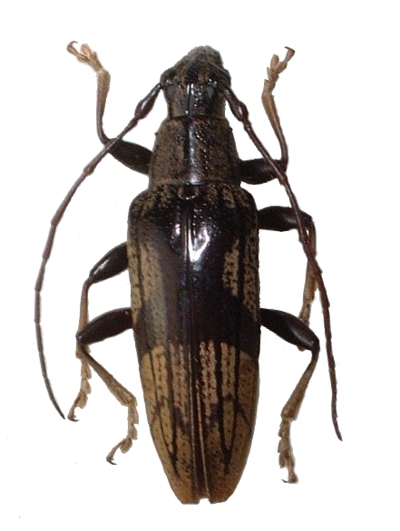
Tmesisternus weigeli Lamiinae  Tmesisternini
Tmesisternus weigeli Withaar, 2009


Distribution:
Indonesia (Sulawesi)