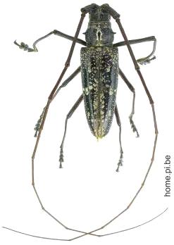
Taeniotes boliviensis Lamiinae  Lamiini
Taeniotes boliviensis Dillon & Dillon, 1941
male, Ecuador

Distribution:
e Ecuador, Bolivia, Argentina