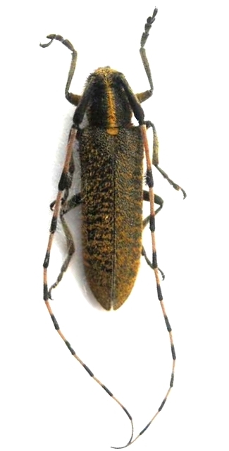
Agapanthia (Epoptes) dahli dahli Lamiinae  Agapanthiini
Agapanthia (Epoptes) dahli dahli (Richter, 1821)
male, Kazakhstan

Distribution:
Spain, France, Belgium, Switzerland, Germany, Austria, Poland, Czech Rep., Slovakia, Hungary, Slovenia, Croatia, Serbia, Albania, Romania, Bulgaria, Greece, Turkey, Ukraine, Belarus, Russia, Kazakhstan