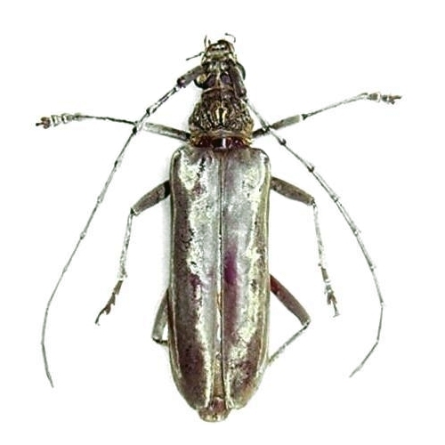
Trachylophus sinensis Cerambycinae  Cerambycini
Trachylophus sinensis Gahan, 1888
female, China

Distribution:
Myanmar, China, Taiwan