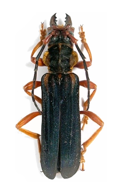
Dictator regius falkensteini Cerambycinae  Callichromatini
Dictator regius falkensteini (Quedenfeldt, 1883)


Distribution:
Central Africa, Cameroon, Congo, Zaire, Angola