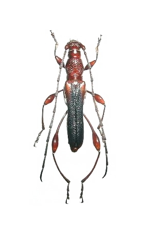
Artimpaza argenteonotata Cerambycinae  Sestyrini
Artimpaza argenteonotata Pic, 1922
male

Distribution:
China, Laos, Vietnam