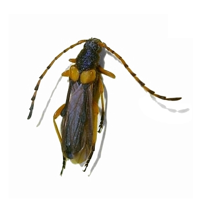
Callisphyris molorchoides Lepturinae  Necydaliini
Callisphyris molorchoides (Guérin-Méneville, 1838)


Distribution:
Argentina, Chile