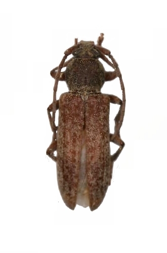
Trichoferus bergeri Cerambycinae  Hesperophanini
Trichoferus bergeri Holzschuh, 1982
female

Distribution:
Greece (Crete)