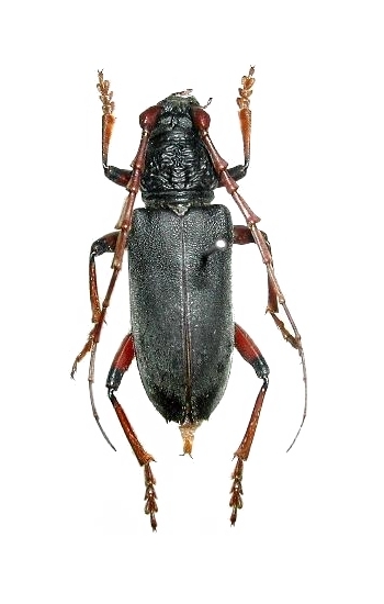
Neoplocaederus ruficornis Cerambycinae  Cerambycini
Neoplocaederus ruficornis (Newman, 1842)
female

Distribution:
Thailand, China (Yunnan), Laos, Vietnam, Malaysia, Borneo, Indonesia (Sumatra), Philippines (Luzon)