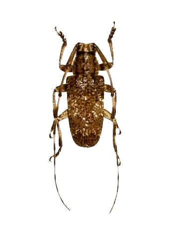
Agelasta (Pseudagelasta) birmanica Lamiinae  Mesosini
Agelasta (Pseudagelasta) birmanica (von Breuning, 1935)
male

Distribution:
Myanmar, Thailand, Vietnam, Laos