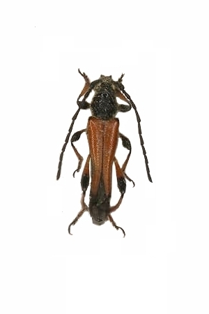
Stenopterus atricornis Cerambycinae  Stenopterini
Stenopterus atricornis Pic, 1891
male, Turkey

Distribution:
Greece, Turkey, Lebanon