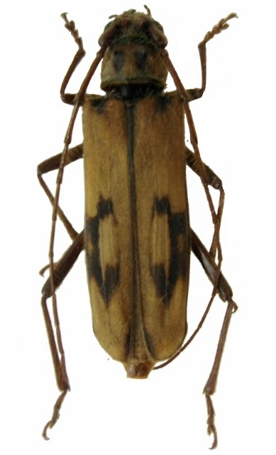
Zoodes fulguratus Cerambycinae  Hesperophanini
Zoodes fulguratus Gahan, 1906
female, Myanmar

Distribution:
China, Nepal, Myanmar, Vietnam, Laos