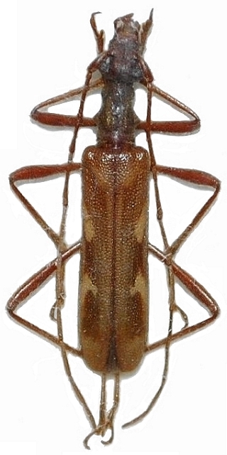
Leptorhabdium caucasicum Lepturinae  Xylosteini
Leptorhabdium caucasicum (Kraatz, 1879)
male, Russia

Distribution:
s Russia, Turkey, Iran