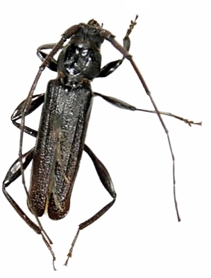
Xystrocera nigrita Cerambycinae  Xystrocerini
Xystrocera nigrita Audinet-Serville, 1834
male

Distribution:
Senegal, Guinea, Sierra Leone, Mali, Liberia, Ivory Coast, Ghana, Togo, Benin, Nigeria, Niger, Chad, Cameroon, Central Africa, Gabon, Congo, Zaire, Angola, Uganda, Kenya. São Tomé, Cabo Verde (introduced)