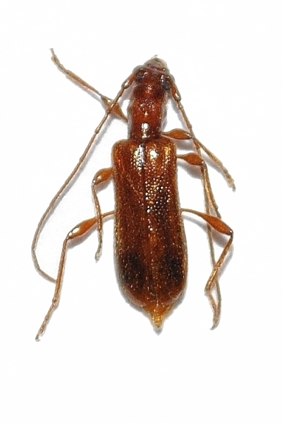
Obrium brunneum Cerambycinae  Obriini
Obrium brunneum (Fabricius, 1793)
female, Greece

Distribution:
e Spain, France, Belgium, Holland, Switzerland, Italy, Germany, Austria, s Great Britain, Denmark, s Sweden, Poland, Czech Rep., Slovakia, Hungary, Slovenia, Croatia, Serbia, Romania, Greece, Russia