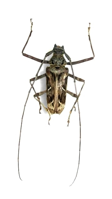
Macropophora accentifer Lamiinae  Acrocinini
Macropophora accentifer (Olivier, 1795)
male

Distribution:
Brazil, Bolivia