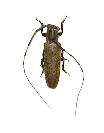
Pothyne variegata yayeyamana Lamiinae  Agapanthiini
Pothyne variegata yayeyamana Breuning & Ohbayashi, 1966
female

Distribution:
Japan (Ryukyu)