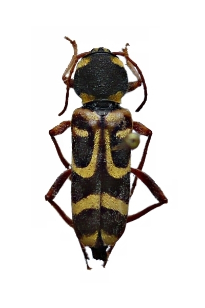
Xylotrechus arvicola Cerambycinae  Clytini
Xylotrechus arvicola (Olivier, 1795)
female, Spain

Distribution:
Algeria Morocco Portugal Spain France Luxembourg Belgium Holland Italy Germany Austria Poland Czech R. Slovakia Hungary Slovenia Croatia Serbia Albania Romania Bulgaria Greece Ukraine Russia Caucasus Turkey Iran Kazakhstan