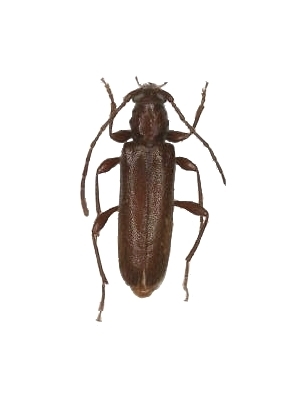
Lucasianus levaillantii Cerambycinae  Graciliini
Lucasianus levaillantii (Lucas, 1849)
Spain

Distribution:
Algeria, Morocco, Portugal, Spain