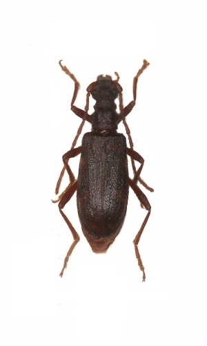
Xylosteus caucasicola Lepturinae  Xylosteini
Xylosteus caucasicola Plavilstshikov, 1936
female, Russia

Distribution:
s Russia, Georgia, n Turkey