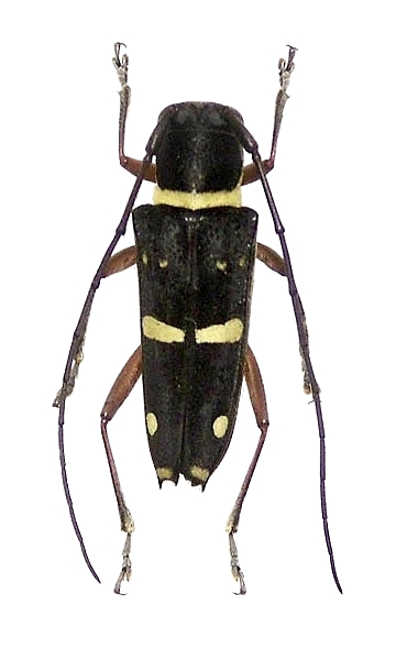
Glenea (Glenea) funerula javana Lamiinae  Saperdini
Glenea (Glenea) funerula javana (Pic, 1946)
female

Distribution:
Indonesia (Java)