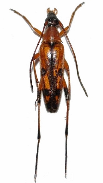
Stenurella septempunctata septempunctata Lepturinae  Lepturini
Stenurella septempunctata septempunctata (Fabricius, 1793)
female, Greece

Distribution:
Switzerland, s Germany, Poland, Czech Republic, Slovakia, Hungary, Austria, Italy, Slovenia, Serbia, Bosnia Herzegovina, Croatia, Montenegro, Albania, Macedonia, Greece, Bulgaria, Romania, Ukraine, Russia (Crimea)