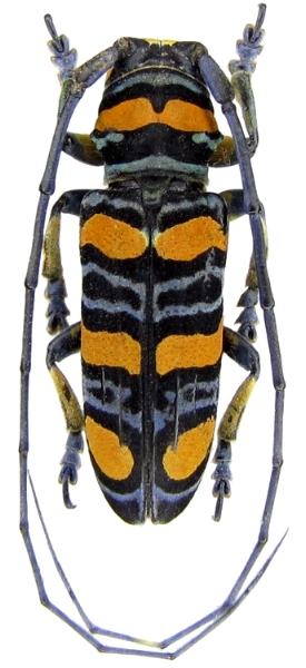
Anatragus ornatus Lamiinae  Tragocephalini
Anatragus ornatus Kolbe, 1897
male

Distribution:
Tanzania