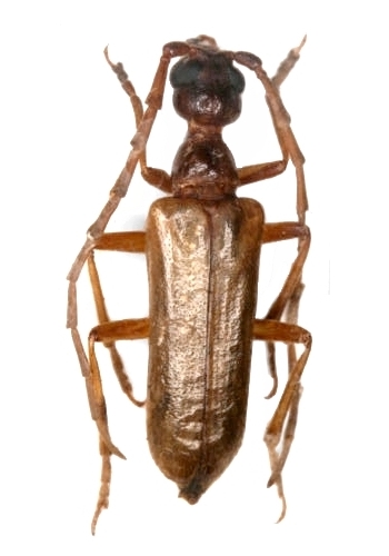
Vesperus sanzi Vesperidae  Vesperini
Vesperus sanzi Reitter, 1895
male

Distribution:
Portugal, w Spain