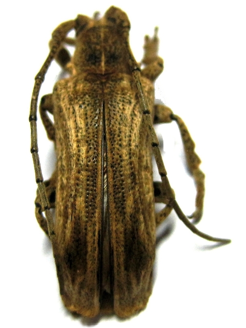
Thylactus filipinus Lamiinae  Xylorhizini
Thylactus filipinus Vives, 2013


Distribution:
Philippines (Mindanao)