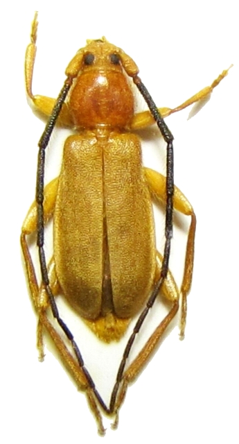
Coptoeme pallida Cerambycinae  Xystrocerini
Coptoeme pallida Lepesme, 1956
male, Ivory Coast

Distribution:
Sierra Leone, Ivory Coast